Accueil
Etang des Chênes
Etang des Sapins
Etang des Bouleaux
Etang des Iris
Enduros
Prises juniors
Prises
▼
Amours blancs
Carpes
Carpes Koï
Esturgeons
Silures
Vidéos
Pêche d'étang
Hébergement
Contrat chalet
Magasin
Localisation
Réglement
Contact et Inscription
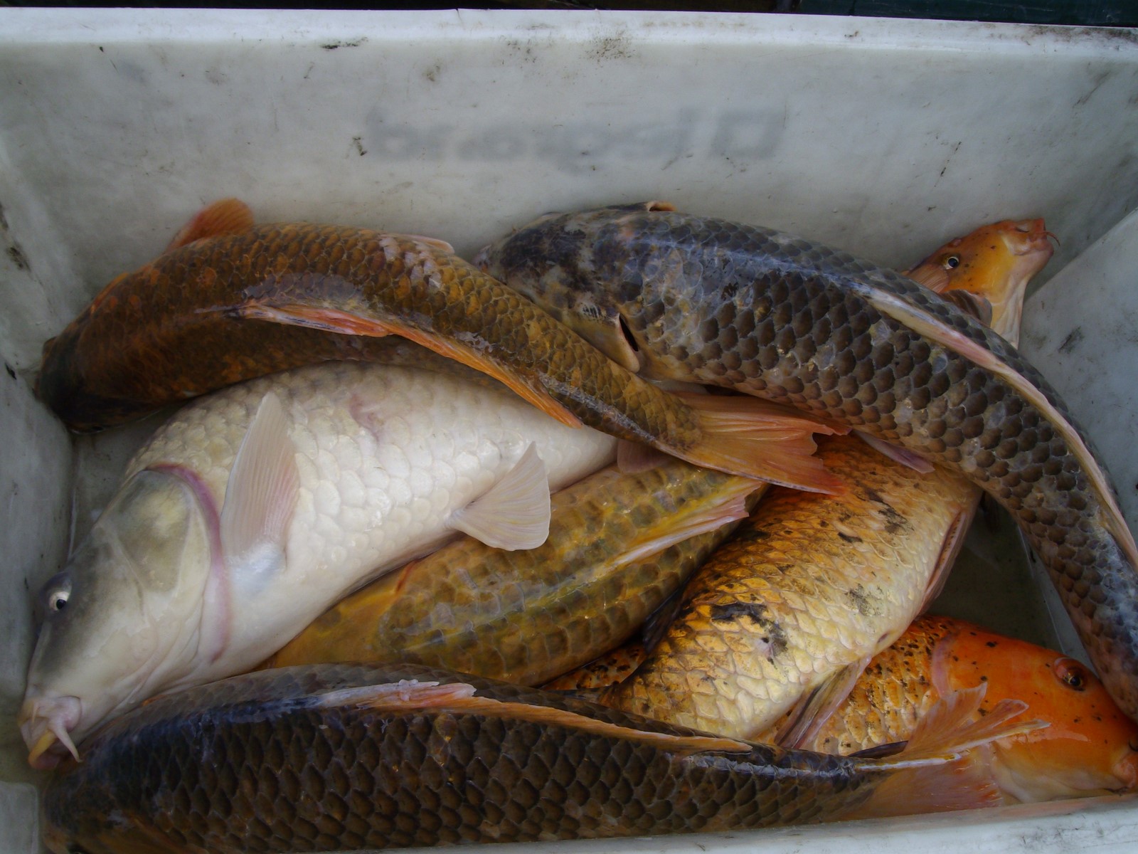
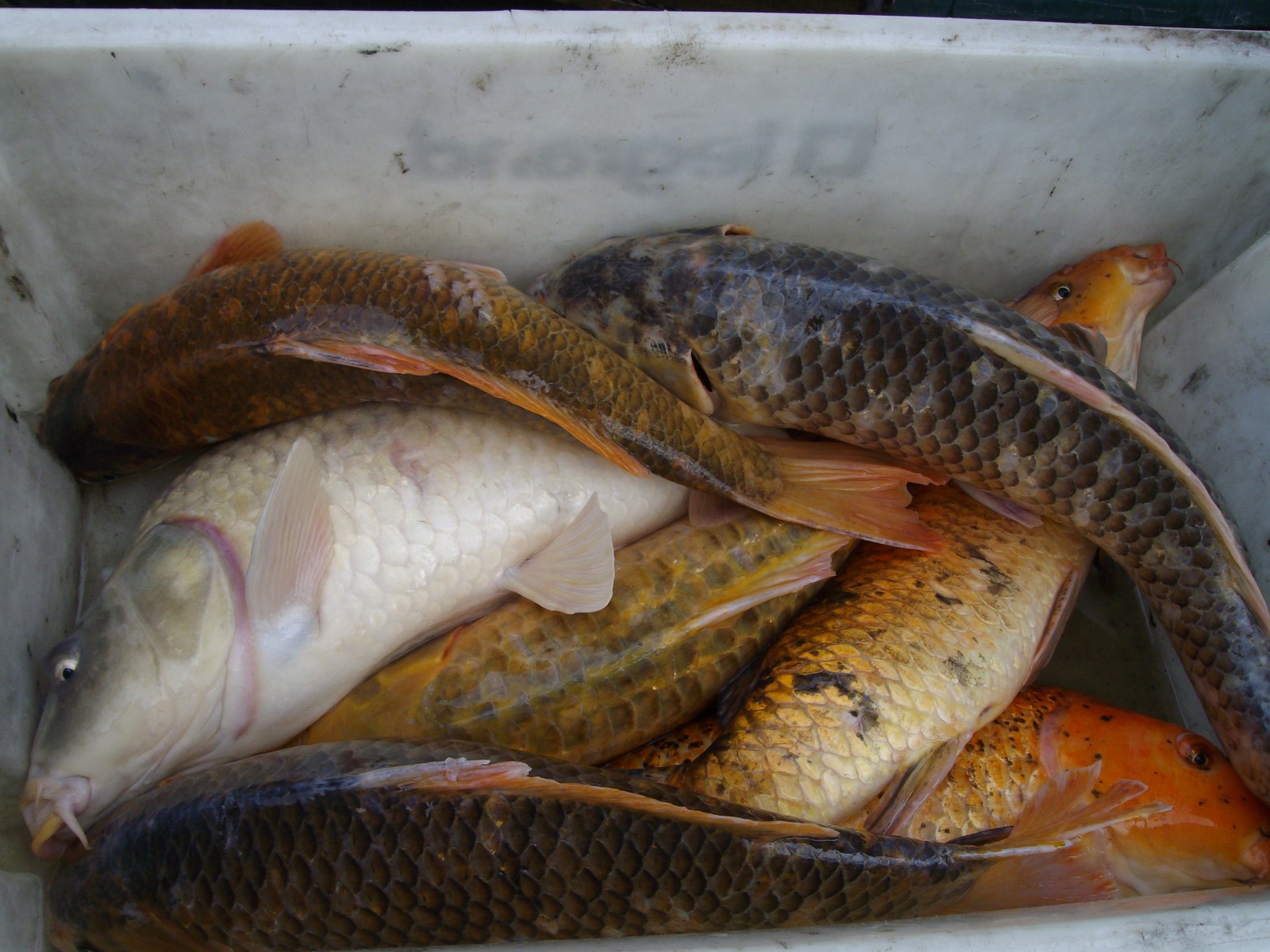
Une pêche d'étang
Ceci nous permet de recenser le nombre de poissons, leurs poids et ainsi d'équilibrer le cheptel dans nos différents étangs !
Etang Des sapins